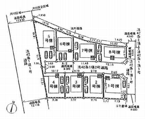
新築戸建 茅ヶ崎市柳島第11 全8棟

4,280万円

神奈川県茅ヶ崎市柳島2丁目

東海道本線「茅ケ崎」駅バス12分「浜見平団地」停歩6分

相模線「茅ケ崎」駅バス12分「浜見平団地」停歩6分

価格
4,280万円
間取り/建物面積
4LDK+S(納戸)/95.98㎡
所在地
神奈川県茅ヶ崎市柳島2丁目
築年
2025年10月(予定)
駐車
有(2台)
交通

東海道本線茅ケ崎」駅 バス12分 「浜見平団地」 停歩6分

相模線茅ケ崎」駅 バス12分 「浜見平団地」 停歩6分

新築戸建 茅ヶ崎市柳島第11 全8棟の基本情報

物件名
新築戸建 茅ヶ崎市柳島第11 全8棟
価格
4,280万円
建物面積
95.98㎡
土地面積
59.69坪(197.33㎡)
築年月
2025年10月(予定)
総戸数
8戸
所在地
神奈川県茅ヶ崎市柳島2丁目
交通

東海道本線茅ケ崎」駅 バス12分 「浜見平団地」 停歩6分

相模線茅ケ崎」駅 バス12分 「浜見平団地」 停歩6分

新築戸建 茅ヶ崎市柳島第11 全8棟の詳細情報

設備条件
  • 駐車2台可
設備(その他)
    -
駐車場/月額
有(2台)/0円 ※車種による
土地権利
所有権
国土法届出
不要
用途地域
第一種中高層住居専用
取引態様
仲介
引渡し
相談
備考
徒歩6分の場所に茅ケ崎市立柳島小学校があります。新築の戸建て物件です。ホームプランナーが不動産購入をサポート致します。不動産購入で失敗をしたくないのであれば、プロの私どもにお任せください。

新築戸建 茅ヶ崎市柳島第11 全8棟のコメント(おすすめポイント)

徒歩9分の距離に茅ケ崎市立中島中学校があるのも魅力。新築の戸建て物件です。お客様の希望条件にマッチした物件をホームプランナーがご紹介致します。まずはお探しの物件についてスタッフまでご連絡ください。

新築戸建 茅ヶ崎市柳島第11 全8棟で募集中の物件

  1.  5号棟

    29.03坪 (95.98㎡)

    4,280万円(147.43万円/坪)

周辺施設

  • 茅ケ崎市立柳島小学校の画像

    小学校

    茅ケ崎市立柳島小学校

    413m(6分)

  • 茅ケ崎市立中島中学校の画像

    中学校

    茅ケ崎市立中島中学校

    652m(9分)

  • 清和保育園の画像

    保育園

    清和保育園

    741m(10分)

  • 浜見平幼稚園の画像

    幼稚園

    浜見平幼稚園

    927m(12分)

  • スルガ銀行 浜見平支店の画像

    銀行

    スルガ銀行 浜見平支店

    1104m(14分)

  • 南湖診療所の画像

    総合病院

    南湖診療所

    1202m(16分)

  • 茅ヶ崎市消防署鶴嶺出張所の画像

    消防署

    茅ヶ崎市消防署鶴嶺出張所

    1292m(17分)

  • 茅ケ崎警察署南湖駐在所の画像

    警察

    茅ケ崎警察署南湖駐在所

    1582m(20分)

  • 高田医院の画像

    内科

    高田医院

    1633m(21分)

  • 茅ケ崎今宿郵便局の画像

    郵便局

    茅ケ崎今宿郵便局

    1863m(24分)

  • 南湖公民館の画像

    公民館

    南湖公民館

    1940m(25分)

近隣の物件

  1. 茅ヶ崎市柳島2丁目

    4LDK (98.82㎡)

    4,280万円

  2. 茅ヶ崎市柳島1丁目

    3LDK (87.36㎡)

    3,790万円

  3. 茅ヶ崎市西久保

    2SLDK (102.25㎡)

    3,399万円

  4. 茅ヶ崎市柳島1丁目

    3SLDK (95.63㎡)

    4,290万円

新築戸建 茅ヶ崎市柳島第11 全8棟

お気軽にお問い合わせください

無料お問い合わせ

株式会社ホームプランナー

0120-971-570

9:30~20:00

(休:水曜日)