NEW

茅ヶ崎市浜須賀2期 新築戸建全4棟 1号棟

5,990万円

神奈川県茅ヶ崎市浜須賀

東海道本線「辻堂」駅バス10分「平和町」停歩5分

東海道本線「茅ケ崎」駅バス10分神奈川中央交通「浜須賀入口」停歩6分

価格
5,990万円
間取り
3LDK+S(納戸)
土地面積
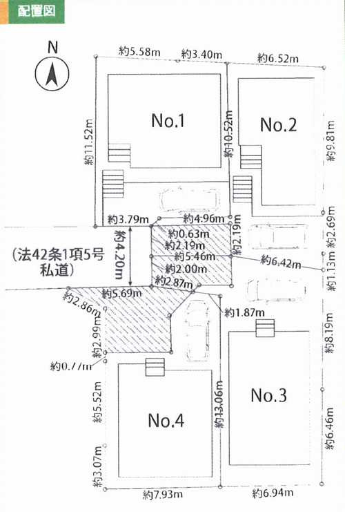
100.21㎡
所在地
神奈川県茅ヶ崎市浜須賀
交通

東海道本線辻堂」駅 バス10分 「平和町」 停歩5分

東海道本線茅ケ崎」駅 バス10分 神奈川中央交通「浜須賀入口」 停歩6分

建物面積
99.16㎡
築年月
2025年11月(予定)

物件の特徴

  • バストイレ別

  • 室内洗濯機置場

  • カウンターキッチン

セールスポイント

ホームプランナーでは仲介手数料0円(無料)となり、諸経費201万円軽減可能です。こだわりで選びたい方におすすめ。茅ヶ崎市エリアで住まいをお探しなら「茅ヶ崎市浜須賀2期 新築戸建全4棟 1号棟」。南向きの物件です。バルコニーが付いています。茅ヶ崎市での不動産探しはお任せください。ご希望の条件をホームプランナーまでお伝え頂ければ、よりスムーズな不動産探しが可能です。

ポイント

スーパーが近い バルコニー バス トイレ別 シューズボックス 全居室洋室

担当者のコメント

竹井 麻紀

ホームプランナーでは仲介手数料0円(無料)となり、諸経費201万円軽減可能です。新生活を失敗せず、スタートさせたいならこちらの「茅ヶ崎市浜須賀2期 新築戸建全4棟 1号棟」はいかがでしょうか。平和町交番が457mのところにあります。99.16平米程の建物面積でスペースも十分。デザイン性のあるシステムキッチン付きなので、キッチンがお洒落なスペースになっています。新たな生活の第一歩をホームプランナーがサポート致します。茅ヶ崎市での不動産探しなら、ぜひお任せください。

基本情報

販売戸数
1戸
総戸数
4戸
間取り / 詳細
3LDK+S(納戸)
LDK 17.0帖 1室/洋室 4.5帖 1室/洋室 5.3帖 1室/S 5.3帖 1室/洋室 6.0帖 1室
向き
建物面積(坪数)
99.16㎡(29.99坪)
土地面積(坪数)
100.21㎡(30.31坪)
建ぺい率 /
容積率
50%/100%
築年月
2025年11月(予定)
駐車場 /
月額料金
有(1台) 0円 ※車種による
土地権利
所有権
土地
(敷金 / 保証金)
- / -
建物構造
木造 / 2階建
傾斜地部分面積
-
路地状敷地
-
私道負担面積
71.08㎡
私道負担割合 : 1/4
セットバック
高圧線下面積
-
施工会社
-
用途地域
第一種低層住居専用
地目 / 地勢
宅地 / -
接道状況
一方(南 私道 4.2m 間口 11.3m)
国土法届出要否
不要
都市計画
市街化区域
総区画数 /
販売区画数
4区画/1区画
現況
未完成
その他
法令上の制限
準防火地域
取引態様
仲介
引渡し
相談
取引条件の
有効期限
2025年11月28日

設備条件

設備条件
  • 陽当り良好 / ファミリー向け / 海が近い / 室内洗濯機置場 / バルコニー / ルーフバルコニー / 都市ガス / 公営水道 / 公共下水 / 電気有 / コンロ2口以上 / システムキッチン / カウンターキッチン / コンロ3口 / バス・トイレ別 / トイレ2ヶ所
設備(その他)
    -

その他

物件番号
98814374
管理コード
-
建築確認番号
第25KAK建確01089号
情報更新日
2025年11月14日
次回更新予定日
2025年11月28日
備考
ホームプランナーでは仲介手数料0円(無料)となり、諸経費201万円軽減可能です。こだわりポイント満載の茅ヶ崎市浜須賀2期 新築戸建全4棟 1号棟。平和町交番が家から457mのところにあります。こちらの物件は南向きです。シューズボックスは、玄関の整理整頓には欠かせません。地域に特化したホームプランナーが取り扱う不動産情報をご紹介致しますので、詳細情報が気になる方は、お気軽にお問い合わせくださいませ。

周辺施設

  • 平和町交番の画像

    警察

    平和町交番

    457m(6分)

  • 茅ケ崎市立緑が浜小学校の画像

    小学校

    茅ケ崎市立緑が浜小学校

    500m(7分)

  • 平和学園幼稚園の画像

    幼稚園

    平和学園幼稚園

    511m(7分)

  • 茅ケ崎市立浜須賀中学校の画像

    中学校

    茅ケ崎市立浜須賀中学校

    814m(11分)

  • 茅ケ崎市立浜須賀保育園の画像

    保育園

    茅ケ崎市立浜須賀保育園

    835m(11分)

  • 松が丘内科クリニックの画像

    内科

    松が丘内科クリニック

    923m(12分)

  • まつなみ幼稚園の画像

    幼稚園

    まつなみ幼稚園

    1134m(15分)

  • 茅ケ崎市小和田公民館の画像

    公民館

    茅ケ崎市小和田公民館

    1143m(15分)

  • 茅ヶ崎松が丘郵便局の画像

    郵便局

    茅ヶ崎松が丘郵便局

    1423m(18分)

  • 湘南すずきクリニックの画像

    クリニック

    湘南すずきクリニック

    1586m(20分)

  • 湘南信用金庫若松町支店の画像

    銀行

    湘南信用金庫若松町支店

    1657m(21分)

支払いシミュレーション

月々の支払額
9.6
購入希望物件価格
万円
頭金
万円
金利
%
返済額(ボーナス1回分)
万円
返済期間

※ボーナスは自動で年2回分で計算されます。

近隣の物件

  1. 茅ヶ崎市南湖6丁目 中古戸建

    茅ヶ崎市南湖6丁目

    3LDK (76.17㎡)

    2,999万円

  2. 茅ヶ崎市南湖4丁目 新築戸建全2棟 2号棟

    茅ヶ崎市南湖4丁目

    3SLDK (102.87㎡)

    4,980万円

  3. 茅ヶ崎市香川4丁目 中古戸建

    茅ヶ崎市香川4丁目

    4LDK (87.98㎡)

    2,850万円

  4. 茅ヶ崎市南湖4丁目 新築戸建全2棟 1号棟

    茅ヶ崎市南湖4丁目

    4LDK (99.62㎡)

    5,580万円

茅ヶ崎市浜須賀2期 新築戸建全4棟 1号棟

茅ヶ崎市浜須賀2期 新築戸建全4棟 1号棟

5,990万円

-

3LDK+S(納戸)(99.16㎡)

お気軽にお問い合わせください

無料お問い合わせ

株式会社ホームプランナー

0120-971-570

9:30~20:00

(休:水曜日)