NEW

茅ヶ崎市浜須賀2期 新築戸建全4棟 3号棟

5,790万円

神奈川県茅ヶ崎市浜須賀

東海道本線「辻堂」駅バス7分「平和町」停歩5分

東海道本線「茅ケ崎」駅バス10分神奈川中央交通「浜須賀入口」停歩6分

価格
5,790万円
間取り
2LDK+2S(納戸)
土地面積
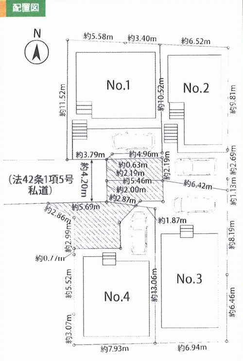
118.30㎡
所在地
神奈川県茅ヶ崎市浜須賀
交通

東海道本線辻堂」駅 バス7分 「平和町」 停歩5分

東海道本線茅ケ崎」駅 バス10分 神奈川中央交通「浜須賀入口」 停歩6分

建物面積
99.15㎡
築年月
2025年12月(予定)

物件の特徴

  • カウンターキッチン

セールスポイント

ホームプランナーでは仲介手数料0円(無料)となり、諸経費194万円軽減可能です。2SLDKの間取りで、家族みんなでリビングに集まれます。こちらの新築戸建てで新たな生活のスタートをきりませんか。海が近いので、いつでも釣りに行く事が出来ます。フローリングなので、どんな世代の方にもなじみます。シューズボックス付きの、収納の多い玄関となっています。99.15平米程の建物面積でスペースも十分。

ポイント

スーパーが近い 勾配天井 システムキッチン 全居室洋室 LDK15帖以上

担当者のコメント

竹井 麻紀

ホームプランナーでは仲介手数料0円(無料)となり、諸経費194万円軽減可能です。海が近いので、潮の香りを日々感じることができます。全居室が洋室なので、お掃除の手間も省くことができます。ファミリーも嬉しい。広々リビングのある2SLDKのお家。機能的で使いやすいシステムキッチン付きなので、お料理を楽しめます。夏場のキッチンはとても暑いですよね。換気ができる窓がついています。新築戸建てで新生活を始めてはいかがでしょうか。価格5,790万円のお住まいはこちらです。

基本情報

販売戸数
1戸
総戸数
4戸
間取り / 詳細
2LDK+2S(納戸)
LDK 18.8帖 1室/洋室 4.6帖 1室/洋室 5.3帖 1室/S 7.1帖 1室/S 5.0帖 1室
パントリー
向き
建物面積(坪数)
99.15㎡(29.99坪)
土地面積(坪数)
118.30㎡(35.78坪)
建ぺい率 /
容積率
50%/100%
築年月
2025年12月(予定)
駐車場 /
月額料金
有(1台) 0円 ※車種による
土地権利
所有権
土地
(敷金 / 保証金)
- / -
建物構造
木造 / 2階建
傾斜地部分面積
-
路地状敷地
-
私道負担面積
71.08㎡
私道負担割合 : 1/4
セットバック
高圧線下面積
-
施工会社
-
用途地域
第一種低層住居専用
地目 / 地勢
宅地 / -
接道状況
一方(西 私道 4.2m)
国土法届出要否
不要
都市計画
市街化区域
総区画数 /
販売区画数
4区画/1区画
現況
未完成
その他
法令上の制限
-
取引態様
仲介
引渡し
相談
取引条件の
有効期限
2025年11月28日

設備条件

設備条件
  • 閑静な住宅地 / 海が近い / フローリング / バルコニー / ルーフバルコニー / 都市ガス / 公営水道 / 公共下水 / システムキッチン / カウンターキッチン / トイレ2ヶ所 / 収納豊富
設備(その他)
    -

その他

物件番号
98814610
管理コード
-
建築確認番号
第第25KAK建確01091号
情報更新日
2025年11月14日
次回更新予定日
2025年11月28日
備考
ホームプランナーでは仲介手数料0円(無料)となり、諸経費194万円軽減可能です。「茅ヶ崎市浜須賀2期 新築戸建全4棟 3号棟」のここがイチオシ。歩いて6分のところに平和町交番があります。キッチンに窓がついているので、奥様は何かと楽ですよ。フローリングは木のぬくもりが感じられるため住み心地も良好。茅ヶ崎市の不動産について疑問点などがございましたら、知識豊富なホームプランナーのスタッフまでご質問ください。

周辺施設

  • 平和町交番の画像

    警察

    平和町交番

    457m(6分)

  • 茅ケ崎市立緑が浜小学校の画像

    小学校

    茅ケ崎市立緑が浜小学校

    500m(7分)

  • 平和学園幼稚園の画像

    幼稚園

    平和学園幼稚園

    511m(7分)

  • 茅ケ崎市立浜須賀中学校の画像

    中学校

    茅ケ崎市立浜須賀中学校

    814m(11分)

  • 茅ケ崎市立浜須賀保育園の画像

    保育園

    茅ケ崎市立浜須賀保育園

    835m(11分)

  • 松が丘内科クリニックの画像

    内科

    松が丘内科クリニック

    923m(12分)

  • まつなみ幼稚園の画像

    幼稚園

    まつなみ幼稚園

    1134m(15分)

  • 茅ケ崎市小和田公民館の画像

    公民館

    茅ケ崎市小和田公民館

    1143m(15分)

  • 茅ヶ崎松が丘郵便局の画像

    郵便局

    茅ヶ崎松が丘郵便局

    1423m(18分)

  • 湘南すずきクリニックの画像

    クリニック

    湘南すずきクリニック

    1586m(20分)

  • 湘南信用金庫若松町支店の画像

    銀行

    湘南信用金庫若松町支店

    1657m(21分)

支払いシミュレーション

月々の支払額
9.6
購入希望物件価格
万円
頭金
万円
金利
%
返済額(ボーナス1回分)
万円
返済期間

※ボーナスは自動で年2回分で計算されます。

近隣の物件

  1. 茅ヶ崎市南湖6丁目 中古戸建

    茅ヶ崎市南湖6丁目

    3LDK (76.17㎡)

    2,999万円

  2. 茅ヶ崎市南湖4丁目 新築戸建全2棟 2号棟

    茅ヶ崎市南湖4丁目

    3SLDK (102.87㎡)

    4,980万円

  3. 茅ヶ崎市香川4丁目 中古戸建

    茅ヶ崎市香川4丁目

    4LDK (87.98㎡)

    2,850万円

  4. 茅ヶ崎市南湖4丁目 新築戸建全2棟 1号棟

    茅ヶ崎市南湖4丁目

    4LDK (99.62㎡)

    5,580万円

茅ヶ崎市浜須賀2期 新築戸建全4棟 3号棟

茅ヶ崎市浜須賀2期 新築戸建全4棟 3号棟

5,790万円

-

2LDK+2S(納戸)(99.15㎡)

お気軽にお問い合わせください

無料お問い合わせ

株式会社ホームプランナー

0120-971-570

9:30~20:00

(休:水曜日)