茅ヶ崎市浜須賀2期 新築戸建全4棟 2号棟

4,990万円

神奈川県茅ヶ崎市浜須賀

東海道本線「辻堂」駅バス10分「平和町」停歩5分

東海道本線「茅ケ崎」駅バス10分神奈川中央交通「浜須賀入口」停歩6分

価格
4,990万円
間取り/建物面積
1LDK+2S(納戸)/83.74㎡
所在地
神奈川県茅ヶ崎市浜須賀
築年
2025年12月(予定)
駐車
有(1台)
交通

東海道本線辻堂」駅 バス10分 「平和町」 停歩5分

東海道本線茅ケ崎」駅 バス10分 神奈川中央交通「浜須賀入口」 停歩6分

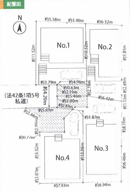
茅ヶ崎市浜須賀2期 新築戸建全4棟 2号棟の基本情報

物件名
茅ヶ崎市浜須賀2期 新築戸建全4棟 2号棟
価格
4,990万円
建物面積
83.74㎡
土地面積
30.28坪(100.13㎡)
築年月
2025年12月(予定)
総戸数
4戸
所在地
神奈川県茅ヶ崎市浜須賀
交通

東海道本線辻堂」駅 バス10分 「平和町」 停歩5分

東海道本線茅ケ崎」駅 バス10分 神奈川中央交通「浜須賀入口」 停歩6分

茅ヶ崎市浜須賀2期 新築戸建全4棟 2号棟の詳細情報

設備条件
  • 閑静な住宅地
  • 海が近い
設備(その他)
    -
駐車場/月額
有(1台)/0円 ※車種による
土地権利
所有権
国土法届出
不要
用途地域
第一種低層住居専用
取引態様
仲介
引渡し
相談
備考
こちらの物件から457mのところに平和町交番があります。こだわりのある方も多い、新築の戸建て物件となっております。0120-971-570からご連絡いただければ、ホームプランナーのスタッフがご要望に合った不動産をお探し致します。

茅ヶ崎市浜須賀2期 新築戸建全4棟 2号棟のコメント(おすすめポイント)

「茅ヶ崎市浜須賀2期 新築戸建全4棟 2号棟」の物件情報をお探しならお気軽にお問い合わせ下さい。こちらの物件は茅ケ崎市立緑が浜小学校が500m以内にあります。初めてのマイホームに新築戸建てはいかがでしょうか。ご希望の条件にマッチした不動産が茅ヶ崎市でなら見つかります。0120-971-570からホームプランナーまでお電話ください。

茅ヶ崎市浜須賀2期 新築戸建全4棟 2号棟で募集中の物件

  1. 25.33坪 (83.74㎡)

    4,990万円(197万円/坪)

周辺施設

  • 平和町交番の画像

    警察

    平和町交番

    457m(6分)

  • 茅ケ崎市立緑が浜小学校の画像

    小学校

    茅ケ崎市立緑が浜小学校

    500m(7分)

  • 平和学園幼稚園の画像

    幼稚園

    平和学園幼稚園

    511m(7分)

  • 茅ケ崎市立浜須賀中学校の画像

    中学校

    茅ケ崎市立浜須賀中学校

    814m(11分)

  • 茅ケ崎市立浜須賀保育園の画像

    保育園

    茅ケ崎市立浜須賀保育園

    835m(11分)

  • 松が丘内科クリニックの画像

    内科

    松が丘内科クリニック

    923m(12分)

  • まつなみ幼稚園の画像

    幼稚園

    まつなみ幼稚園

    1134m(15分)

  • 茅ケ崎市小和田公民館の画像

    公民館

    茅ケ崎市小和田公民館

    1143m(15分)

  • 茅ヶ崎松が丘郵便局の画像

    郵便局

    茅ヶ崎松が丘郵便局

    1423m(18分)

  • 湘南すずきクリニックの画像

    クリニック

    湘南すずきクリニック

    1586m(20分)

  • 湘南信用金庫若松町支店の画像

    銀行

    湘南信用金庫若松町支店

    1657m(21分)

近隣の物件

  1. 茅ヶ崎市高田1丁目

    3SLDK (105.44㎡)

    4,399万円

  2. 茅ヶ崎市高田1丁目

    4LDK (105.44㎡)

    4,249万円

  3. 茅ヶ崎市旭が丘

    4SLDK (105.57㎡)

    5,799万円

  4. 茅ヶ崎市中島

    3SLDK (77.76㎡)

    2,980万円

よく見られている物件

  1. 海老名市望地2丁目

    3LDK (98.23㎡)

    4,950万円

  2. 綾瀬市深谷上7丁目

    4LDK (101.84㎡)

    3,980万円

  3. 相模原市中央区南橋本1丁目

    3LDK (84.25㎡)

    4,499万円

  4. 鎌倉市大船

    3LDK+S(納戸) (161.05㎡)

    4,999万円

茅ヶ崎市浜須賀2期 新築戸建全4棟 2号棟

お気軽にお問い合わせください

無料お問い合わせ

株式会社ホームプランナー

0120-971-570

9:30~20:00

(休:水曜日)