NEW

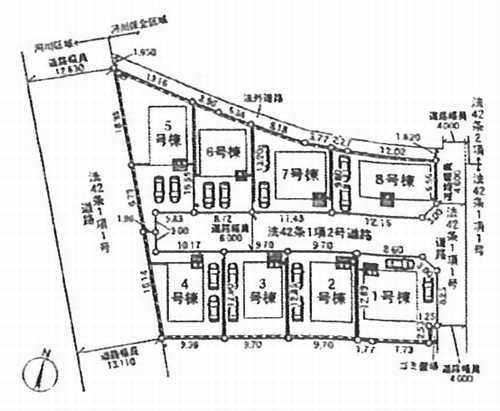
茅ヶ崎市柳島第11 新築戸建全8棟  4号棟

12月9日 値下げ

3,980万円

神奈川県茅ヶ崎市柳島2丁目

東海道本線「茅ケ崎」駅バス12分「浜見平団地」停歩6分

相模線「茅ケ崎」駅バス12分「浜見平団地」停歩6分

価格
3,980万円
間取り
4LDK
土地面積
140.42㎡
所在地
神奈川県茅ヶ崎市柳島2丁目
交通

東海道本線茅ケ崎」駅 バス12分 「浜見平団地」 停歩6分

相模線茅ケ崎」駅 バス12分 「浜見平団地」 停歩6分

建物面積
95.58㎡
築年月
2025年10月(予定)

物件の特徴

  • TVモニタ付きインターホン

  • カウンターキッチン

  • 浴室乾燥機

セールスポイント

ホームプランナーでは仲介手数料0円(無料)となり、諸経費約148万円軽減可能です。建物面積95.58平米なので使い勝手がいいです。来訪者の顔が見えるTVインターホン付き。キッチンに窓があるのでいつでも綺麗な空気と入れ替えが可能。機能的で使いやすいシステムキッチン付きなので、お料理を楽しめます。新築戸建てはみんなの夢です。リビングダイニングが15帖以上あり、ゆったりとした空間を楽しむことができます。

ポイント

クロゼット 床下収納 フラット35Sに対応 浴室に窓 開発分譲地内

担当者のコメント

竹井 麻紀

ホームプランナーでは仲介手数料0円(無料)となり、諸経費約148万円軽減可能です。こだわりポイント満載の茅ヶ崎市柳島第11 新築戸建全8棟。通学区域の小学校は茅ケ崎市立柳島小学校徒歩6分。家族におすすめな4LDK。設備も充実しています。浴室乾燥機付きの物件は、乾燥するまでの時間も短縮されるので忙しくて洗濯物をためこんでしまう人にもおすすめです。茅ヶ崎市のマイホームはホームプランナーでお探しください。0120-971-570からお電話いただければ、知識豊富なスタッフが一戸建て探しをサポート致します。

基本情報

販売戸数
1戸
総戸数
8戸
間取り / 詳細
4LDK
LDK 16.0帖 1室/和室 4.0帖 1室/洋室 5.5帖 2室/洋室 5.0帖 2室
床下収納
向き
建物面積(坪数)
95.58㎡(28.91坪)
土地面積(坪数)
140.42㎡(42.47坪)
建ぺい率 /
容積率
60%/200%
築年月
2025年10月(予定)
駐車場 /
月額料金
有(2台) 0円 ※車種による
土地権利
所有権
土地
(敷金 / 保証金)
- / -
建物構造
木造 / 2階建
傾斜地部分面積
-
路地状敷地
-
私道負担面積
246.34㎡
私道負担割合 : 1/8
セットバック
高圧線下面積
-
施工会社
-
用途地域
第一種中高層住居専用
地目 / 地勢
宅地 / -
接道状況
一方(北 私道 6.0m 間口 10.1m)
国土法届出要否
不要
都市計画
市街化区域
総区画数 /
販売区画数
8区画/1区画
現況
未完成
その他
法令上の制限
景観法/河川法/高度地区/準防火地域
取引態様
仲介
引渡し
相談
取引条件の
有効期限
2025年12月23日

設備条件

設備条件
  • フローリング / バルコニー / 都市ガス / 公営水道 / 公共下水 / 駐車2台可 / システムキッチン / カウンターキッチン / 浴室乾燥機 / 温水洗浄便座 / トイレ2ヶ所 / 床下収納 / 収納豊富 / TVモニタ付インターホン / 複層ガラス
設備(その他)
    -

その他

物件番号
96413990
管理コード
-
建築確認番号
第KBI-SGM25-10-2351号
情報更新日
2025年12月09日
次回更新予定日
2025年12月23日
取扱会社
  • 株式会社ホームプランナー
  • 神奈川県茅ヶ崎市共恵2-8-33 
  • TEL:0120-971-570
  • 神奈川県知事 (2) 第30075号
備考
ホームプランナーでは仲介手数料0円(無料)となり、諸経費約148万円軽減可能です。「茅ヶ崎市柳島第11 新築戸建全8棟」:茅ヶ崎市エリアの新居にピッタリ。通学区域内の小学校は茅ケ崎市立柳島小学校で徒歩6分です。南向きの物件です。価格が4,380万円の物件はこちらです。思わず笑顔になる戸建てを東海道本線茅ケ崎周辺で見つけましょう。ホームプランナーへのご依頼は、0120-971-570からお願いします。

茅ヶ崎市柳島第11 新築戸建全8棟の他の物件

  1.  1号棟

    4LDK (98.82㎡)

    4,280万円(143.19万円/坪)

  2.  3号棟

    4LDK (93.14㎡)

    3,980万円(141.29万円/坪)

  3.  6号棟

    3SLDK (95.58㎡)

    4,180万円(144.59万円/坪)

  4.  7号棟

    3SLDK (95.58㎡)

    4,180万円(144.59万円/坪)

  5.  8号棟

    4LDK (95.58㎡)

    4,480万円(154.96万円/坪)

周辺施設

  • 茅ケ崎市立柳島小学校の画像

    小学校

    茅ケ崎市立柳島小学校

    413m(6分)

  • 茅ケ崎市立中島中学校の画像

    中学校

    茅ケ崎市立中島中学校

    652m(9分)

  • 清和保育園の画像

    保育園

    清和保育園

    741m(10分)

  • 浜見平幼稚園の画像

    幼稚園

    浜見平幼稚園

    927m(12分)

  • スルガ銀行 浜見平支店の画像

    銀行

    スルガ銀行 浜見平支店

    1104m(14分)

  • 南湖診療所の画像

    総合病院

    南湖診療所

    1202m(16分)

  • 茅ヶ崎市消防署鶴嶺出張所の画像

    消防署

    茅ヶ崎市消防署鶴嶺出張所

    1292m(17分)

  • 茅ケ崎警察署南湖駐在所の画像

    警察

    茅ケ崎警察署南湖駐在所

    1582m(20分)

  • 高田医院の画像

    内科

    高田医院

    1633m(21分)

  • 茅ケ崎今宿郵便局の画像

    郵便局

    茅ケ崎今宿郵便局

    1863m(24分)

  • 南湖公民館の画像

    公民館

    南湖公民館

    1940m(25分)

支払いシミュレーション

月々の支払額
9.6
購入希望物件価格
万円
頭金
万円
金利
%
返済額(ボーナス1回分)
万円
返済期間

※ボーナスは自動で年2回分で計算されます。

近隣の物件

  1. 茅ヶ崎市南湖4期 新築戸建全2棟 1号棟

    茅ヶ崎市南湖6丁目

    4LDK (105.63㎡)

    6,699万円

  2. 茅ケ崎市矢畑2期 新築戸建全5棟 

    茅ヶ崎市矢畑

    4LDK (109.68㎡)

    4,599万円

  3. 茅ヶ崎市南湖4期 新築戸建全2棟 2号棟

    茅ヶ崎市南湖6丁目

    3SLDK (105.41㎡)

    6,499万円

  4. 茅ケ崎市矢畑2期 新築戸建全5棟

    茅ヶ崎市矢畑

    3SLDK (104.72㎡)

    4,699万円

茅ヶ崎市柳島第11 新築戸建全8棟

茅ヶ崎市柳島第11 新築戸建全8棟

3,980万円

-

4LDK(95.58㎡)

お気軽にお問い合わせください

無料お問い合わせ

株式会社ホームプランナー

0120-971-570

9:30~20:00

(休:水曜日)